MELILLI. Una specie nuova per la scienza è stata rinvenuta all’interno della grotta “Villasmundo” della Riserva naturale integrale "Complesso Speleologico Villasmundo - S. Alfio di Melilli, gestita dal centro di ricerca Cutgana dell’Università di Catania diretto dal prof. Giovanni Signorello.
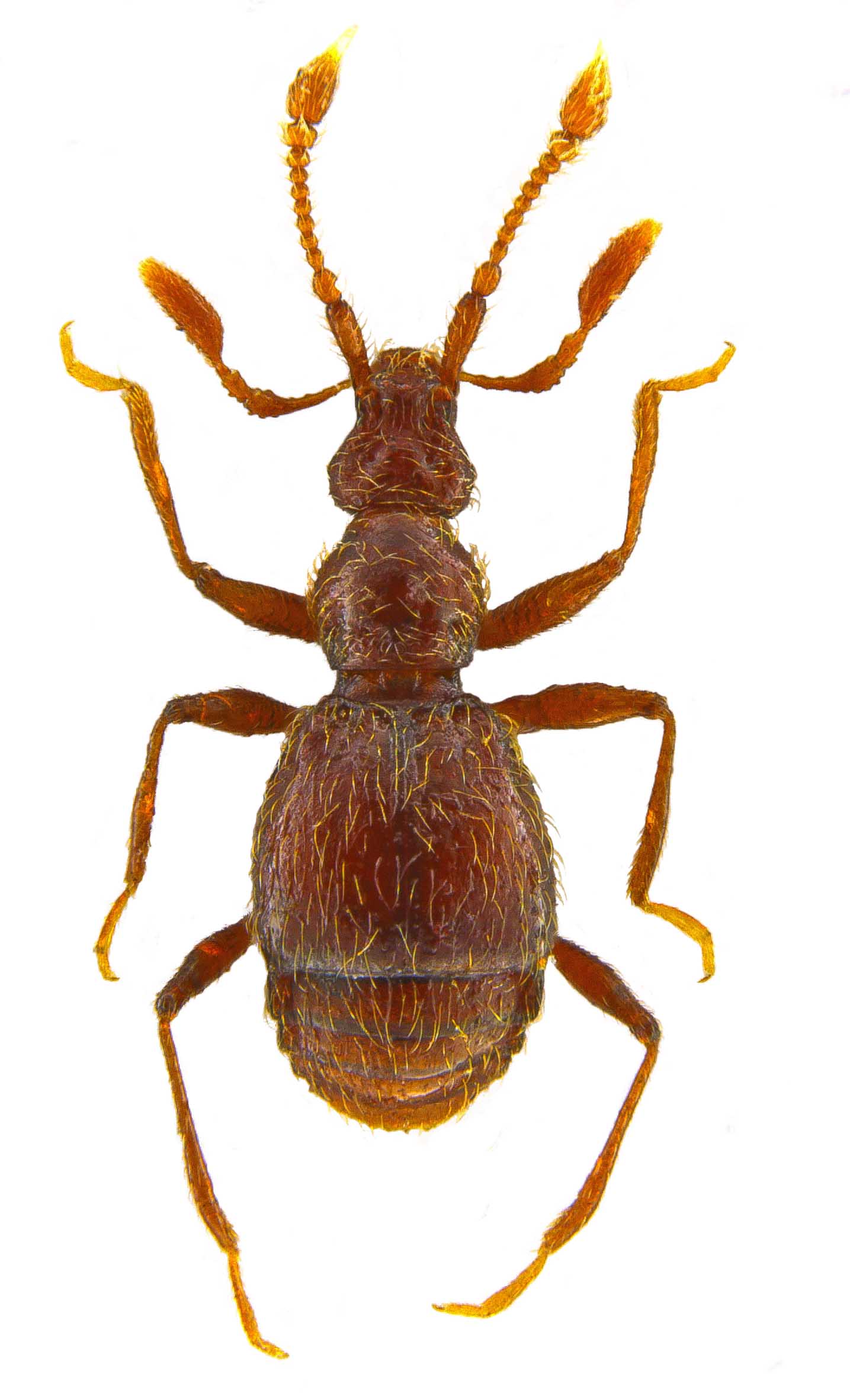
Si tratta di un interessante insetto troglobio, appartenente all’ordine dei Coleotteri, e più specificatamente alla sottofamiglia delle Pselaphinae, a cui è stato attribuito il nome di “Tychobythinus villasmundi Sabella, Amore & Nicolosi”.
Il ritrovamento è avvenuto nell’ambito del progetto di ricerca sulla fauna invertebrata della grotta, di cui è responsabile scientifico il prof. Giorgio Sabella, zoologo dell’Ateneo catanese ed esperto pselafidologo, che ha riconosciuto e descritto questa nuova specie.
La scoperta del biospeleologo Giuseppe Nicolosi, membro del Centro Speleologico Etneo, è avvenuta durante le esplorazioni in grotta insieme con la direttrice dell’area protetta Elena Amore. Le progressioni in grotta sono state possibili grazie alla collaborazione di Alfio Cariola, Francesco Leone e Fiorenzo Fiorenza, membri del Centro Speleologico Etneo.
Il coleottero pselafide, della lunghezza variabile tra 1,20 e 1,45 millimetri, mostra adattamenti specifici alla vita cavernicola, come l’assenza di ali e di occhi, depigmentazione della cuticola, e appendici relativamente allungate.
La descrizione della nuova specie è stata pubblicata sulla rivista internazionale di zoologia “Zootaxa” (ed. Magnolia Press) nell’articolo dal titolo “A new troglobitic Tychobythinus from Sicily (Coleoptera, Staphylinidae, Pselaphinae)” degli autori Sabella, Amore e Nicolosi.
«Il ritrovamento di una nuova specie rappresenta una scoperta eccezionale per l’area protetta – dichiara Elena Amore -. Le grotte della riserva, tutelate come zona “A” di riserva integrale per la presenza di un “sistema carsico con caratteristiche e significato di indiscusso valore”, in realtà rappresentano uno scrigno di una fauna ricca e, soprattutto, unica. La scoperta rappresenta un enorme valore aggiunto, evidenziando l’importanza di salvaguardare la grotta in quanto ecosistema unico e fragile, ricco di biodiversità. L’attività di ricerca, frutto della sinergia tra il Cutgana e gli speleologi, è stata possibile grazie ai fondi ordinari di gestione assegnati dall’assessorato regionale Territorio e Ambiente».
Alfio Russo – Cutgana, Università di Catania
Hanno scritto
Scoperto nuovo coleottero nel Siracusano - ANSA
Una nuova specie di coleottero scoperta nella Grotta di Villasmundo a Melilli - LASICILIA.IT
Scoperta una nuova specie di coleottero in una grotta del Siracusano - GIORNALE DI SICILIA
Nella grotta una nuova specie di coleottero - QUOTIDIANO DI SICILIA
Sorpresa a Melilli: nella grotta Villasmundo scoperta nuova specie di coleottero - SIRACUSA OGGI
Melilli, scoperto nuova specie di coleottero all’interno della grotta Villasmundo - SIRACUSA POST
Melilli, scoperta una nuova specie di coleottero nella grotta “Villasmundo” - SIRACUSA TIMES
Melilli: scoperto un coleottero all’interno della grotta Villasmundo - SICILIA REPORT
Scoperto un nuovo coleottero nel Siracusano - GIUDA SICILIA
Grotta Villasmundo: incredibile scoperta dei ricercatori - METROPOLITAN MAGAZINE
